
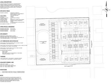
The 8-acre property was rezoned from AG-2 to PUD, increasing the density to 40 residential dwelling units. The City of Bonita Springs City Council approved the rezone with a unanimous 7-0 vote.

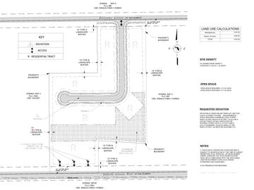
The 4.52-acre property was rezoned from RSF-3 to PUD, increasing the density to 27 residential dwelling units. The Collier County Board of County Commissioners approved the rezone with a unanimously 5-0 vote.

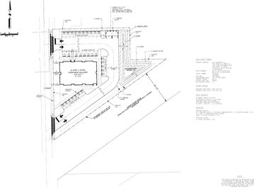
The 0.85 property received conditional use approval, increasing the density to 18 residential dwelling units. The City of Fort Myers Board of Adjustments approved the conditional use with a unanimous 6-0 vote.

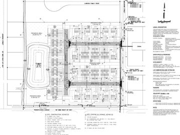
For the 8-acre property, site-civil construction plans have been developed, including 40 residential lots, looped road design, sidewalks, wet detention pond, as well as drainage, fire, water, and sewer infrastructure.

For the 4.52-acre property, site-civil construction plans have been developed, including 27 residential lots, road design, sidewalks, dry detention pond, as well as drainage, fire, water, and sewer infrastructure.

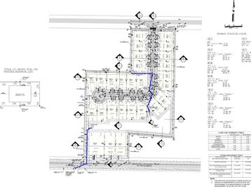
For the 0.85-acre property, site-civil construction plans have been developed, including a central commercial building, parking lot, sidewalks, dry detention pond, as well as drainage, fire, water, and sewer infrastructure.

A Drainage Plan was developed including sloped grading, swales, inlets, and downspouts from the gutters connecting directly into inlets within the county right-of-way. Impervious calculations, and cross-sectional diagrams were depicted on the plan.

A Drainage Plan was developed including sloped grading, swales, and on-site retention area. Impervious calculations, retention storage calculations, and cross-sectional diagrams were depicted on the plan.

A Drainage Plan was developed including sloped grading, swales, and on-site retention area. Impervious calculations, retention storage calculations, and cross-sectional diagrams were depicted on the plan.
We use cookies to analyze website traffic and optimize your website experience. By accepting our use of cookies, your data will be aggregated with all other user data.